InicioInternacionalDesastres naturales en 2025

Desastres naturales en 2025

TASS, 1 de enero. En 2025, se produjeron en el mundo varios desastres naturales que dejaron numerosas víctimas. TASS ha recopilado las catástrofes más mortíferas.

– Un devastador terremoto sacudió Birmania, causando más de 5.000 víctimas mortales y más de 11.000 heridos. Rescatistas rusos ayudaron a eliminar las consecuencias del desastre natural.

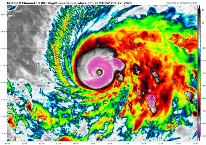
– El huracán tropical Melissa azotó varios países del Caribe, entre ellos Cuba, Haití, Jamaica y República Dominicana. La catástrofe se saldó con decenas de muertos.

– En la región rusa de Kamchatka, se produjo el terremoto más potente en 73 años. El sismo de magnitud 8,8 causó un tsunami, cuyas olas alcanzaron varios países, incluidos Chile, EE.UU. y Japón. Sin embargo, no se registraron víctimas mortales ni heridos graves.

– Fuertes inundaciones azotaron varios países de Asia. El desastre natural afectó a Estados del sudeste asiático, incluidos Indonesia, Tailandia, Malasia y Vietnam, dejando más de 1.000 muertos. Mientras tanto, en Pakistán unas 1.000 personas fallecieron debido a las inundaciones. Cientos de miles de residentes de esos países se vieron obligados a abandonar sus casas.

– Potentes terremotos sacudieron Afganistán, cobrando la vida de más de 2.000 personas. Asimismo, se resgistraron miles de heridos.

– Incendios forestales arrasaron más de 115.000 hectáreas del bosque en España. Mientras tanto, el desastre natural en el estado estadounidense de California causó la evacuación de decenas de miles de personas y dejó unos 30 muertos.

RELATED ARTICLES

DEJA UNA RESPUESTA

Por favor ingrese su comentario!
Por favor ingrese su nombre aquí

- Advertisment -

Most Popular